ข้อมูลที่อยู่อาศัย
- 
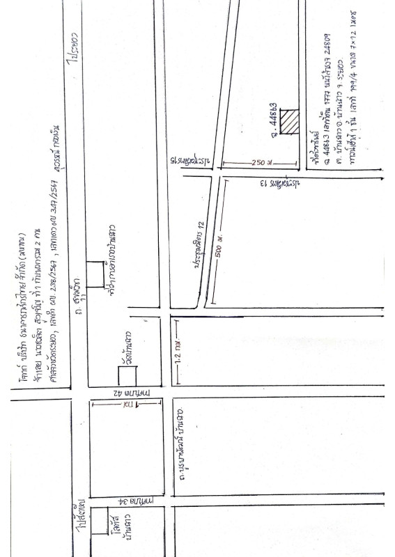
                                                    44863
 - 
                                                        0 ไร่, 0 งาน, 47.70 ตร.ว.
 
รายละเอียดการติดต่อ
- 
                                                นางสาวภัทรกัญยาณ์ ครุฑฤทธิ์จักร์,นายศุภณัฐ คงนวล
 - 
                                                ระยอง
 - 
                                                กรมบังคับคดี
 - 
                                                (038)620888,615317
 
รายละเอียดทรัพย์สิน
                                                ศาล: จังหวัดระยอง
ล็อตที่ - ชุดที่: 43/68 - สีชมพูบานเย็น
คดีหมายเลขแดงที่: ผบ.347 / 2567
หมายเหตุ*: -                                            
ข้อมูลการประมูลทรัพย์
- จะทำการขายโดย: ปลอดการจำนอง
 - ยอดหนี้จำนอง: ไม่มี
 - ราคาประเมินของผู้เชี่ยวชาญการประเมินราคา: ไม่มี
 - ราคาประเมินของเจ้าพนักงานบังคับคดี: ไม่มี
 - ราคาประเมินของเจ้าพนักงานประเมินราคาทรัพย์กรมบังคับคดี: ไม่มี
 - ราคาที่กำหนดโดยคณะกรรมการกำหนดราคาทรัพย์: ไม่มี
 - วันที่ประกาศขึ้นเว็บกรมบังคับคดี: ไม่มี
 
กรณีขายรวม ขอให้่ตรวจสอบรายละเอียดของรายการที่ขายลำดับเดียวกับทุกทรัพย์
เงื่อนไขผู้เข้าสู้ราคา
- ผู้ประสงค์จะเข้าเสนอราคาต้องวางหลักประกันเป็นจำนวน: ไม่มี
 - เว้นแต่เป็นผู้มีสิทธิ์หักส่วนได้ใช้แทน หรือคู่สมรสที่ศาลมีคำสั่งอนุญาตให้กันส่วนแล้ว ต้องวางหลักประกันเป็นจำนวน: ไม่มี
 
ประวัติการประมูลทรัพย์
| นัดที่ | วันที่ | สถานะการประมูล | 
|---|---|---|
| 1 | 30 ต.ค. 2568 | - | 
| 2 | 20 พ.ย. 2568 | - | 
| 3 | 11 ธ.ค. 2568 | - | 
| 4 | 30 ธ.ค. 2568 | - | 
| 5 | 22 ม.ค. 2569 | - | 
| 6 | 12 ก.พ. 2569 | - | 
ทั้งนี้บางรายการที่ปรากฏในเว็บไซต์นี้ อาจทำการขายไปแล้ว กรุณาตรวจสอบข้อมูลที่ถูกต้องล่าสุดกับกรมบังคับคดีตามข้อมูลรายละเอียดการติดต่อ
หมายเหตุ :
ข้อมูลที่ปรากฏในเว็บไซต์นี้ ศูนย์ข้อมูลฯ ได้รับมาจากแหล่งข้อมูลที่เชื่อถือได้ โดยได้ตรวจสอบจนมั่นใจในระดับหนึ่งแล้ว แต่ศูนย์ข้อมูลฯ ไม่สามารถยืนยันความถูกต้องหรือความเป็นจริง และไม่อาจรับผิดชอบต่อความเสียหายที่เกิดขึ้นไม่ว่ากรณีใดๆ จากการใช้ข้อมูล ผู้นำข้อมูลไปใช้พึงใช้วิจารณญาณและตรวจสอบตามความเหมาะสม
ศูนย์ข้อมูลฯ ได้ทำการตรวจสอบตำแหน่งที่ตั้งทรัพย์บนแผนที่ที่ปรากฎอยู่บนเว็บไซต์ โดยอาศัยข้อมูลจากแหล่งข้อมูลต่างๆ ที่เชื่อถือได้ เพื่อให้ตำแหน่งทรัพย์บนแผนที่ ใช้อ้างอิงท่านไปยังที่ตั้งของทรัพย์นั้นๆ โดยประมาณ ทั้งนี้ศูนย์ข้อมูลฯ ไม่สามารถยืนยันความถูกต้องของตำแหน่งทรัพย์ได้ ดังนั้น ทางศูนย์ข้อมูลฯ ขอสงวนสิทธิ์ไม่รับผิดชอบต่อข้อผิดพลาดทางตำแหน่งทรัพย์ที่เกิดขึ้นบนแผนที่ ผู้นำข้อมูลไปใช้พึงใช้วิจารณญาณและตรวจสอบตามความเหมาะสม
แผนที่
คำนวณค่าผ่อนบ้าน
- 
                                                        จำนวนดอกเบี้ย:3,691 บาท/เดือน
 - 
                                                        จำนวนเงินต้น:3,909 บาท/เดือน
 
หมายเหตุ:
การคำนวณเงินงวดคิดจากอัตราดอกเบี้ยที่ท่านระบุบวกร้อยละ 1 เพื่อให้ตัดชำระเป็นเงินต้น และผลลัพธ์จะปัดตัวกลมเป็นหลักร้อยบาท ทั้งนี้ ผลการประเมินจากเครื่องคำนวณสินเชื่อเป็นเพียงการประเมินวงเงินกู้ในเบื้องต้น ส่วนการอนุมัติสินเชื่อสงวนสิทธิ์เป็นไปตามหลักเกณฑ์ของธนาคาร
อัตราดอกเบี้ยสำหรับสินเชื่อบ้าน
หากคุณกำลังมองหาทางเลือกเพื่อขอสินเชื่อบ้านด้วยอัตราที่เหมาะสม คุณสามารถเลือกชมรายละเอียดสินเชื่อจากธนาคารเหล่านี้ และติดต่อทางธนาคารเพื่อขอความช่วยเหลือในการให้คำแนะนำ
สินเชื่อบ้าน ธนาคารกรุงไทย
- อัตราดอกเบี้ยเฉลี่ย 3 ปีแรก* = 3.60%
 - ปีที่ 1 = 2.29% ต่อปี
 - ปีที่ 2 - ปีที่ 3 = 4.25% ต่อปี
 
สินเชื่อบ้านธนาคารกสิกรไทย เพื่อซื้อทรัพย์มือสอง
- อัตราดอกเบี้ยเฉลี่ย 3 ปีแรก* = 3.56%
 - ปีที่ 1 = 1.99%
 - ปีที่ 2 - ปีที่ 3 = 4.34%
 
สินเชื่อบ้านกรุงศรีเพื่อซื้อที่อยู่อาศัย
- อัตราดอกเบี้ยเฉลี่ย 3 ปีแรก* = 5.050%
 - ปีที่ 1 = 4.65% ต่อปี
 - ปีที่ 2 = 5.00% ต่อปี
 - ปีที่ 3 = 5.50% ต่อปี
 
                            