รหัสทรัพย์ : LED260226959320 รหัสหน่วยงาน : 1990474

บ้านเดี่ยว

ประมูล
โพสวันที่ 27 ก.พ. 2569 ปรับปรุงวันที่ 27 ก.พ. 2569 0
หนองไผ่, เพชรบูรณ์
สถานะการขาย : โปรดติดต่อหน่วยงาน
สถานะทรัพย์ : โปรดติดต่อ
error

วิดีโอไม่พบ

error

ไม่พบ 360°

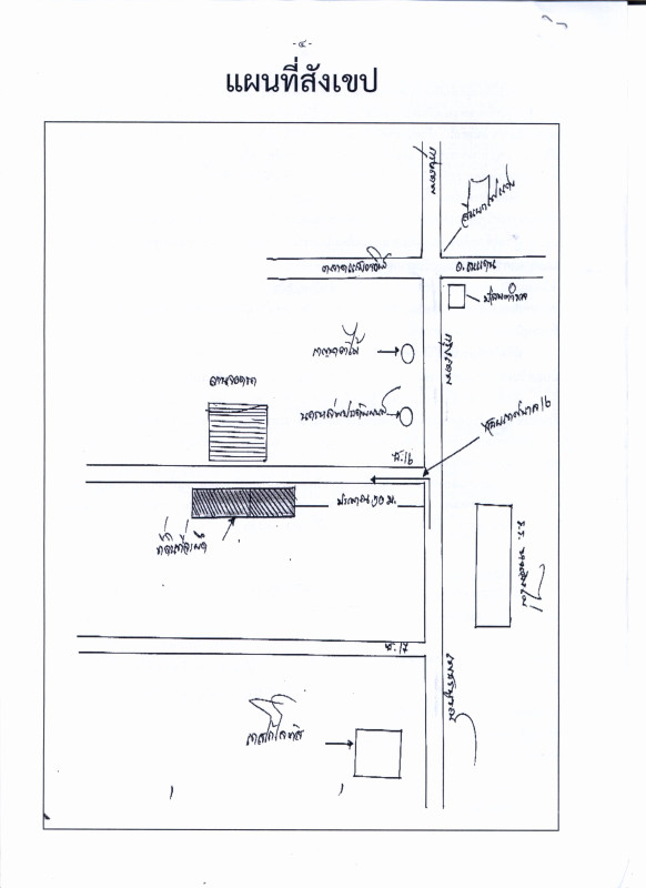
ตำแหน่งที่ตั้ง


ข้อมูลที่อยู่อาศัย

  • 1438
  • 0 ไร่, 0 งาน, 79.90 ตร.ว.

รายละเอียดการติดต่อ

  • นายอดิศักดิ์ ใจหาญ,นายวนัสนันท์ นาบำรุง
  • เพชรบูรณ์
  • กรมบังคับคดี
  • (056)736248,736250

รายละเอียดทรัพย์สิน

ศาล: จังหวัดเพชรบูรณ์
ล็อตที่ - ชุดที่: พช5/2569 - 1
คดีหมายเลขแดงที่: ผบ.580 / 2556
หมายเหตุ*: ขายรวมกับที่ดินโฉนดเลขที่ 1511 ราคาประเมินรวม     1,233,945 บาท

ข้อมูลการประมูลทรัพย์

  • จะทำการขายโดย: ปลอดการจำนอง
  • ยอดหนี้จำนอง: ไม่มี
  • ราคาประเมินของผู้เชี่ยวชาญการประเมินราคา: ไม่มี
  • ราคาประเมินของเจ้าพนักงานบังคับคดี: ไม่มี
  • ราคาประเมินของเจ้าพนักงานประเมินราคาทรัพย์กรมบังคับคดี: ไม่มี
  • ราคาที่กำหนดโดยคณะกรรมการกำหนดราคาทรัพย์: ไม่มี
  • วันที่ประกาศขึ้นเว็บกรมบังคับคดี: ไม่มี

กรณีขายรวม ขอให้่ตรวจสอบรายละเอียดของรายการที่ขายลำดับเดียวกับทุกทรัพย์

เงื่อนไขผู้เข้าสู้ราคา

  • ผู้ประสงค์จะเข้าเสนอราคาต้องวางหลักประกันเป็นจำนวน: ไม่มี
  • เว้นแต่เป็นผู้มีสิทธิ์หักส่วนได้ใช้แทน หรือคู่สมรสที่ศาลมีคำสั่งอนุญาตให้กันส่วนแล้ว ต้องวางหลักประกันเป็นจำนวน: ไม่มี

ประวัติการประมูลทรัพย์

นัดที่ วันที่ สถานะการประมูล
1 21 พ.ค. 2569 -
2 11 มิ.ย. 2569 -
3 02 ก.ค. 2569 -
4 23 ก.ค. 2569 -
5 13 ส.ค. 2569 -
6 03 ก.ย. 2569 -
ราคาที่ปรากฏเป็นราคาประเมินในฐานข้อมูลกรมบังคับคดี ไม่ใช่ราคาประกาศขายและราคาประมูล กรุณาติดต่อกรมบังคับคดี หรือตรวจสอบข้อมูลในเว็บไซต์กรมบังคับคดี โดยคัดลอกเลขแดง(ป้อนลงในช่องหมายเลขคดี) ปี(ป้อนลงในช่องปี พ.ศ.) และศาล(เฉพาะชื่อศาลลงในช่องศาล)

ทั้งนี้บางรายการที่ปรากฏในเว็บไซต์นี้ อาจทำการขายไปแล้ว กรุณาตรวจสอบข้อมูลที่ถูกต้องล่าสุดกับกรมบังคับคดีตามข้อมูลรายละเอียดการติดต่อ

หมายเหตุ :
ข้อมูลที่ปรากฏในเว็บไซต์นี้ ศูนย์ข้อมูลฯ ได้รับมาจากแหล่งข้อมูลที่เชื่อถือได้ โดยได้ตรวจสอบจนมั่นใจในระดับหนึ่งแล้ว แต่ศูนย์ข้อมูลฯ ไม่สามารถยืนยันความถูกต้องหรือความเป็นจริง และไม่อาจรับผิดชอบต่อความเสียหายที่เกิดขึ้นไม่ว่ากรณีใดๆ จากการใช้ข้อมูล ผู้นำข้อมูลไปใช้พึงใช้วิจารณญาณและตรวจสอบตามความเหมาะสม
ศูนย์ข้อมูลฯ ได้ทำการตรวจสอบตำแหน่งที่ตั้งทรัพย์บนแผนที่ที่ปรากฎอยู่บนเว็บไซต์ โดยอาศัยข้อมูลจากแหล่งข้อมูลต่างๆ ที่เชื่อถือได้ เพื่อให้ตำแหน่งทรัพย์บนแผนที่ ใช้อ้างอิงท่านไปยังที่ตั้งของทรัพย์นั้นๆ โดยประมาณ ทั้งนี้ศูนย์ข้อมูลฯ ไม่สามารถยืนยันความถูกต้องของตำแหน่งทรัพย์ได้ ดังนั้น ทางศูนย์ข้อมูลฯ ขอสงวนสิทธิ์ไม่รับผิดชอบต่อข้อผิดพลาดทางตำแหน่งทรัพย์ที่เกิดขึ้นบนแผนที่ ผู้นำข้อมูลไปใช้พึงใช้วิจารณญาณและตรวจสอบตามความเหมาะสม

คำนวณค่าผ่อนบ้าน

1,308,045
บาท
บาท
ปี
%
5,700 บาท/เดือน
49%
5,700
บาท/เดือน
  • จำนวนดอกเบี้ย:
    2,793 บาท/เดือน
  • จำนวนเงินต้น:
    2,907 บาท/เดือน

หมายเหตุ:

การคำนวณเงินงวดคิดจากอัตราดอกเบี้ยที่ท่านระบุบวกร้อยละ 1 เพื่อให้ตัดชำระเป็นเงินต้น และผลลัพธ์จะปัดตัวกลมเป็นหลักร้อยบาท ทั้งนี้ ผลการประเมินจากเครื่องคำนวณสินเชื่อเป็นเพียงการประเมินวงเงินกู้ในเบื้องต้น ส่วนการอนุมัติสินเชื่อสงวนสิทธิ์เป็นไปตามหลักเกณฑ์ของธนาคาร

อัตราดอกเบี้ยสำหรับสินเชื่อบ้าน

หากคุณกำลังมองหาทางเลือกเพื่อขอสินเชื่อบ้านด้วยอัตราที่เหมาะสม คุณสามารถเลือกชมรายละเอียดสินเชื่อจากธนาคารเหล่านี้ และติดต่อทางธนาคารเพื่อขอความช่วยเหลือในการให้คำแนะนำ

สินเชื่อบ้านธนาคารกสิกรไทย เพื่อซื้อทรัพย์มือสอง

06 พ.ค. 2568
MRR 7.08%
  • อัตราดอกเบี้ยเฉลี่ย 3 ปีแรก* = 3.56%
  • ปีที่ 1 = 1.99%
  • ปีที่ 2 - ปีที่ 3 = 4.34%

สินเชื่อบ้าน ธนาคารกรุงไทย

06 พ.ค. 2568
MRR 7.345%
  • อัตราดอกเบี้ยเฉลี่ย 3 ปีแรก* = 3.60%
  • ปีที่ 1 = 2.29% ต่อปี
  • ปีที่ 2 - ปีที่ 3 = 4.25% ต่อปี

สินเชื่อเคหะ

06 พ.ค. 2568
MRR 6.595%
  • อัตราดอกเบี้ยเฉลี่ย 3 ปีแรก* = 4.795%
  • ปีที่ 1 - ปีที่ 3 = MRR - 1.800% ต่อปี

รายการทรัพย์ที่ใกล้เคียง

รหัสหน่วยงาน: 6707100471
765,000 บาท
รหัสหน่วยงาน: 60NN020301816
2,803,000 บาท
รหัสหน่วยงาน: 6707100371
410,000 บาท
รหัสหน่วยงาน: 6707100391
245,000 บาท

บทความน่ารู้

ดูทั้งหมด

สินเชื่อบ้านสีเขียว (Green Loan) 2569 ทางเลือกใหม่ซื้อบ้านมือสอง ดอกเบี้ยถูกลง!

หลายคนที่กำลังวางแผนอยากจะมีบ้านเป็นของตัวเอง หรือกำลังมองหาบ้านมือสอง คงกำลังปวดหัวกับเรื่องดอกเบี้ยธนาคาร...

71

เจาะลึก 5 ทำเลทองบ้านมือสองปี 2569 อยู่เองคุ้มค่า ลงทุนกำไรดี

เผลอแป๊บเดียวเราก็เดินทางมาถึงปี 2569 กันแล้ว สำหรับใครที่กำลังมองหาที่อยู่อาศัย หรือวางแผนลงทุนในอสังหาริม...

118

5 เทคนิคเลือกซื้อบ้านมือสอง ฉบับคู่รักเริ่มต้นชีวิตคู่

คู่รักคู่ไหนที่ความรักสุกงอมจนถึงขั้นวางแผนจะใช้ชีวิตร่วมกัน "บ้าน" คงเป็นเป้าหมายอันดับต้นๆ ที่ทุกคนฝันถึง...

67

ปล่อยบ้านเก่า ซื้อบ้านใหม่? 5 ขั้นตอนวางแผนขายบ้านมือสองให้ได้ราคาดีที่สุด

เมื่อบ้านหลังเดิมที่อยู่มาหลายปีเริ่มรู้สึกว่า "พื้นที่ไม่พอ" หรืออยากขยับขยาย ไปอยู่ในทำเลที่ใกล้ที่ทำงานม...

109

ฟันธงปี 2569 ซื้อบ้านมือสอง VS บ้านโครงการใหม่ แบบไหนคุ้มค่ากว่ากันในยุคดอกเบี้ยนี้?

การตัดสินใจ ซื้อบ้าน 2569 ถือเป็นก้าวใหญ่ในชีวิต และหนึ่งในคำถามสุดคลาสสิก ที่อยู่ในหัวของทุกคนก็คือ “จะเลื...

265

คลิกเครื่องหมาย เพื่อเพิ่มลงตะกร้าเก็บทรัพย์ที่สนใจ หรือกดอีกครั้งเพื่อลบออก
คลิกเพื่อเลือก บ้านที่ต้องการแล้วกดปุ่ม "เปรียบเทียบ" ได้เลย