Location
Listing Info
-
26801
-
0 Rai, 0 Ngan, 99.80 Wa
Contact Info
-
นางปุญญธิดา สนธิคุณ,นายภานุวัฒน์ ปานประดิษฐ์
-
สงขลา
-
Legal Execution Department
-
Telephone (02)881-4999 (Answering Calls Automatically 20 lines)
Description
ศาล: แขวงสงขลา
ล็อตที่ - ชุดที่: สงขลา/2569 - 2
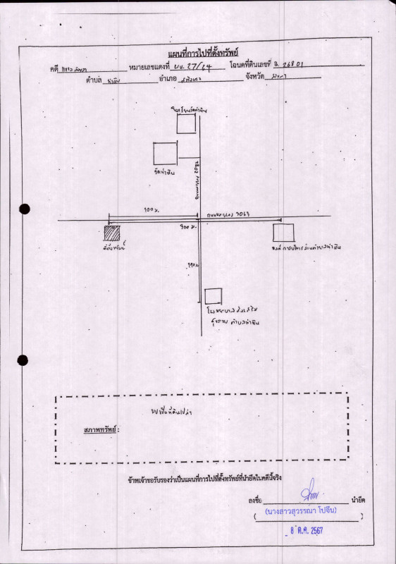
คดีหมายเลขแดงที่: ผบ.27 / 2564
หมายเหตุ*: -
Auction Info
- Sold by: ปลอดการจำนอง
- Mortgage Debt: None
- Estimate by expert: None
- Estimate by LED: None
- Estimate by Officer: None
- Estimate by Board: None
- Published on LED website: None
Noted: Please consider all property types from the list
Auction Condition
- Reserve Fund: None
- Except Reserve Fund: None
Auction History
| Bid Round | Bid Date | Bid Status |
|---|---|---|
| 1 | 25 Nov 2025 | - |
| 2 | 16 Dec 2025 | - |
| 3 | 06 Jan 2026 | - |
| 4 | 27 Jan 2026 | - |
| 5 | 17 Feb 2026 | - |
| 6 | 10 Mar 2026 | - |
ข้อมูลที่ปรากฏในเว็บไซต์นี้ ศูนย์ข้อมูลฯ ได้รับมาจากแหล่งข้อมูลที่เชื่อถือได้ โดยได้ตรวจสอบจนมั่นใจในระดับหนึ่งแล้ว แต่ศูนย์ข้อมูลฯ ไม่สามารถยืนยันความถูกต้องหรือความเป็นจริง และไม่อาจรับผิดชอบต่อความเสียหายที่เกิดขึ้นไม่ว่ากรณีใดๆ จากการใช้ข้อมูล ผู้นำข้อมูลไปใช้พึงใช้วิจารณญาณและตรวจสอบตามความเหมาะสม
ศูนย์ข้อมูลฯ ได้ทำการตรวจสอบตำแหน่งที่ตั้งทรัพย์บนแผนที่ที่ปรากฎอยู่บนเว็บไซต์ โดยอาศัยข้อมูลจากแหล่งข้อมูลต่างๆ ที่เชื่อถือได้ เพื่อให้ตำแหน่งทรัพย์บนแผนที่ ใช้อ้างอิงท่านไปยังที่ตั้งของทรัพย์นั้นๆ โดยประมาณ ทั้งนี้ศูนย์ข้อมูลฯ ไม่สามารถยืนยันความถูกต้องของตำแหน่งทรัพย์ได้ ดังนั้น ทางศูนย์ข้อมูลฯ ขอสงวนสิทธิ์ไม่รับผิดชอบต่อข้อผิดพลาดทางตำแหน่งทรัพย์ที่เกิดขึ้นบนแผนที่ ผู้นำข้อมูลไปใช้พึงใช้วิจารณญาณและตรวจสอบตามความเหมาะสม
Map
Monthly Installment Calculation
-
Monthly Interest:456 Baht/month
-
Monthly Loan:444 Baht/month
Remark:
การคำนวณเงินงวดคิดจากอัตราดอกเบี้ยที่ท่านระบุบวกร้อยละ 1 เพื่อให้ตัดชำระเป็นเงินต้น และผลลัพธ์จะปัดตัวกลมเป็นหลักร้อยบาท ทั้งนี้ ผลการประเมินจากเครื่องคำนวณสินเชื่อเป็นเพียงการประเมินวงเงินกู้ในเบื้องต้น ส่วนการอนุมัติสินเชื่อสงวนสิทธิ์เป็นไปตามหลักเกณฑ์ของธนาคาร
Mortgage Rates and Home Loans
If you're looking for the best options to buy your dream home today, then look no further than our bank partners' competitive mortgage rates and home loans. Click for more information on how our bank partners can help you.
โครงการบ้าน ธอส. สุขสบาย ปี 2568
- Average Interest Rate Year 1-3* = 5.302%
- ปีที่ 1 - ปีที่ 2 = MRR - 2.00% ต่อปี
- ปีที่ 3 = MRR - 1.00% ต่อปี
สินเชื่อบ้าน ธนาคารกรุงไทย
- Average Interest Rate Year 1-3* = 3.60%
- ปีที่ 1 = 2.29% ต่อปี
- ปีที่ 2 - ปีที่ 3 = 4.25% ต่อปี
สินเชื่อบ้านกรุงศรีเพื่อซื้อที่อยู่อาศัย
- Average Interest Rate Year 1-3* = 5.050%
- ปีที่ 1 = 4.65% ต่อปี
- ปีที่ 2 = 5.00% ต่อปี
- ปีที่ 3 = 5.50% ต่อปี
